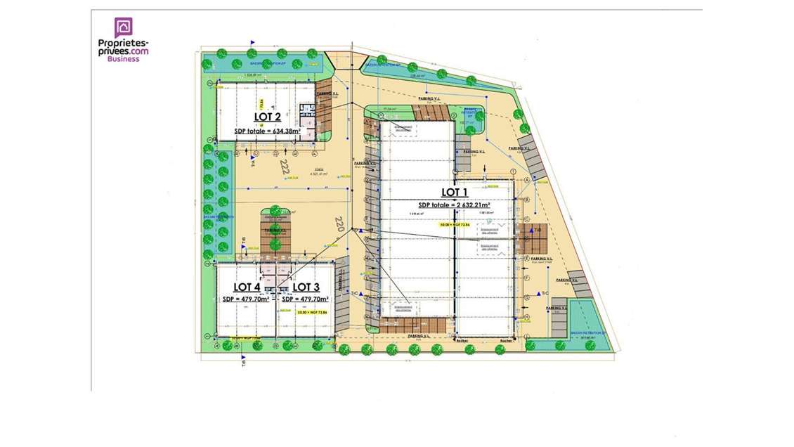
Vente local neuf 635m² modulable à Montélimar
Prix de vente
648 900€
Surface
635 m²
Montant au m²
1 022€/m²
Drome - 26200 MONTELIMAR - EMPLACEMENT N°1 -
vous propose ce local d'activités neuf de 635 m² modulable, stratégiquement implanté au sein d'un parc d'activités moderne à MONTELIMAR NORD.
Possibilité d'activité industrielle ou artisanale.
Livrés en état brut avec fluides en attente, ces espaces offrent une totale flexibilité d'aménagement permettant une adaptation optimale aux exigences spécifiques de votre activité.
Bénéficiant d'un emplacement stratégique dans un environnement économique dynamique, ces locaux profitent d'une excellente desserte et d'un accès direct aux principaux axes routiers, garantissant ainsi une optimisation de vos flux logistiques et des déplacements de vos équipes.
- Façade bardage double peau
- Fluides en attente
- Places de stationnement extérieures
- Portes sectionnelles de 4,50 m
- Structure métallique, livraison brute
- Couverture bac acier avec étanchéité multicouches
Dossier et photos sur demande avec LDC. Mandat 430595.
Cession des murs : 648 900 Euros HT (honoraires 5% HT inclus charge acquéreur soit 618 000 Euros HT hors honoraires)
Informations sur les risques auxquels ce bien est exposé sont disponibles sur le site Géorisques : https://www.georisques.gouv.fr
, au ou, à . Selon l'article L.561.5 du Code Monétaire et Financier, pour l'organisation de la visite, la présentation d'une pièce d'identité vous sera demandée. Cette annonce a été rédigée sous la responsabilité éditoriale de immatriculé au RSAC Nîmes 434 067 575 auprès de , au capital de 44 920 euros, - ; SIRErofessionnelle Transactions sur immeubles et fonds de commerce (T) et Gestion immobilière (G) n°20 8 délivrée par la - Saint Nazaire. . -SMABTP - 89 rue de la Boétie, 75008 Paris - n°28137 J pour 2 000 000 euros pour T et 120 000 euros pour G. Assurance responsabilité civile professionnelle par GALIAN-SMABTP n° de police 28137.J
(EI) Agent Commercial - Numéro RSAC : Nîmes 434 067 575 - .
vous propose ce local d'activités neuf de 635 m² modulable, stratégiquement implanté au sein d'un parc d'activités moderne à MONTELIMAR NORD.
Possibilité d'activité industrielle ou artisanale.
Livrés en état brut avec fluides en attente, ces espaces offrent une totale flexibilité d'aménagement permettant une adaptation optimale aux exigences spécifiques de votre activité.
Bénéficiant d'un emplacement stratégique dans un environnement économique dynamique, ces locaux profitent d'une excellente desserte et d'un accès direct aux principaux axes routiers, garantissant ainsi une optimisation de vos flux logistiques et des déplacements de vos équipes.
- Façade bardage double peau
- Fluides en attente
- Places de stationnement extérieures
- Portes sectionnelles de 4,50 m
- Structure métallique, livraison brute
- Couverture bac acier avec étanchéité multicouches
Dossier et photos sur demande avec LDC. Mandat 430595.
Cession des murs : 648 900 Euros HT (honoraires 5% HT inclus charge acquéreur soit 618 000 Euros HT hors honoraires)
Informations sur les risques auxquels ce bien est exposé sont disponibles sur le site Géorisques : https://www.georisques.gouv.fr
, au ou, à . Selon l'article L.561.5 du Code Monétaire et Financier, pour l'organisation de la visite, la présentation d'une pièce d'identité vous sera demandée. Cette annonce a été rédigée sous la responsabilité éditoriale de immatriculé au RSAC Nîmes 434 067 575 auprès de , au capital de 44 920 euros, - ; SIRErofessionnelle Transactions sur immeubles et fonds de commerce (T) et Gestion immobilière (G) n°20 8 délivrée par la - Saint Nazaire. . -SMABTP - 89 rue de la Boétie, 75008 Paris - n°28137 J pour 2 000 000 euros pour T et 120 000 euros pour G. Assurance responsabilité civile professionnelle par GALIAN-SMABTP n° de police 28137.J
(EI) Agent Commercial - Numéro RSAC : Nîmes 434 067 575 - .
Données Financières
Prix de vente : 648900 € (1021.89 €/m²)
Honoraires : information non communiquée par l'agence
Surfaces et longueurs
Surface de 635 m²
Bilan énergétique
Diagnostic de performance énergétique (DPE)
N.C.
Catégorie N.C.
Le classement énergétique n'a pas été communiqué par l'annonceur.
Emplacement
Synthèse
A vendre Immobilier d'entreprise Locaux d'activités - Entrepôts
Montélimar, Drôme (26), Rhône-Alpes
Prix de vente : 648900 € (1021.89 €/m²)
Surface de 635 m²
Réactualisé le 18/03/2026
Référence CessionPME : 430595B-ZER
Demander plus d'informations sur ce bien
Prix médian en immobilier professionnel dans la Drôme 26, rubrique Locaux d'activités - Entrepôts
736 €/m²
Prix bas
1028 €/m²
Prix médian
1378 €/m²
Prix haut



